
Notice of Public Information Centre
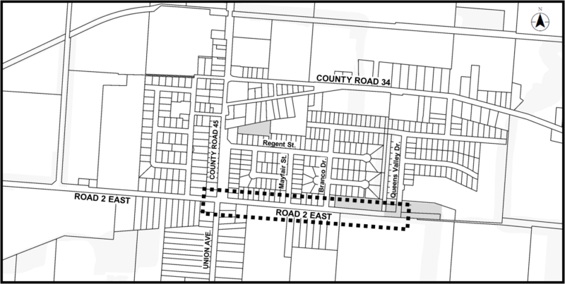
The Town of Kingsville (Town) is seeking public feedback on a proposed sidewalk along Road 2 East. The sidewalk would be installed on the north side of Road 2 East and connect the new subdivision at Queens Valley Drive to Union Avenue.
How to Get Involved
A Public Information Centre (PIC) is being held to present the proposed sidewalk plans. You can drop in anytime between 5:00pm to 7:00pm on Thursday, July 27, 2023 at the Grovedale Arts & Culture Centre (103 Park Street, Kingsville, ON).
Proposed Plan
Your feedback is valuable and appreciated. Please provide comments by contacting a member of the project team below by August 27, 2023, or join us in person at the PIC to provide input.
Project Team
Tim Del Greco, P.Eng., Manager of Engineering, Town of Kingsville,
Phone: 519-733-2305
Email: tdelgreco@kingsville.ca
Dan Baughan, Engineering Technician, Town of Kingsville
Phone: 519-733-2305
Email: dbaughan@kingsville.ca
Information will be collected in accordance with the Freedom of Information and Protection of Privacy Act. With the exception of personal information, all comments will become part of the public record.

